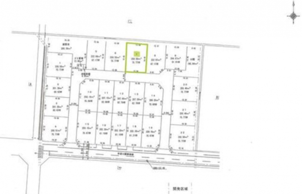
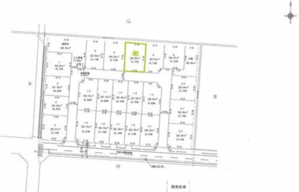
土地 砺波市矢木*** 土地
本物件は成約済みとなりウェブでの公開を終了しました。
類似条件の土地・新築住宅・中古住宅・中古マンションなどの情報をお求めの方は、お気軽にお問い合わせ下さい。
所在地
砺波市矢木***
****万円
**坪
物件概要
- 交通
- ****
- 接道状況
- ****
- 土地面積
- ****
- 建ぺい率
- ****
- 容積率
- ****
- 土地権利
- 所有権
- セットバック
- 無し
- 小学校区
- 砺波東部
- 中学校区
- 庄西
- 私道負担
- 建築条件
- あり
- 地目
- 現況
- 更地
- 引渡時期
- ****
- 上水道
- 下水道
- ガス
- 都市計画
- 非線引区域
- 用途地域
- 設備・条件
- ****
- 備考
- ****
- 取引態様
- 仲介
建築条件付きの土地につきましては、土地売買契約締結後3カ月以内に当社の指定する建設業者と請負契約が成立しない場合には土地売買契約は解除され、受領した金額は全額無利息でお返しします。



